- Home
- Latest News
- news line
- Districts
- Kerala
- India
- World
- Sports
- Videos+
- Arogyathejas
- Around The Globe
- Bomb Squad
- Charithrapadham
- Cinimayude Varthamanam
- Cut 'n' Right
- Editors Voice
- Hridaya Thejas
- In Focus
- In Quest
- India Scan
- Kalikkalam
- Marupaksham
- NEWS LINE
- Nireekshanam
- Pusthakavicharam
- RAMADAN VICHARAM
- Samantharam
- Shani Dasha
- Swathwa Vicharam
- Vazhivelicham
- VideoNews
- World in Words
- Yathra
- voice over
- Sub Lead
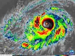
അറബിക്കടലില് ചുഴലിക്കാറ്റ് രൂപപ്പെട്ടു; 204 കി.മീ വരെ വേഗത്തില് ആഞ്ഞടിക്കുമെന്നും യുഎസ് ഏജന്സി
മണിക്കൂറില് 204 കിലോമീറ്റര് വേഗത്തില് വരെ ചുഴലിക്കാറ്റാന് വീശാന് സാധ്യതയുണ്ടെന്നും ഏജന്സിയുടെ പുതിയ റിപ്പോര്ട്ടില് മുന്നറിയിപ്പ് നല്കുന്നു.

തിരുവനന്തപുരം: അറബിക്കടലില് കേരളതീരത്തിന് സമാന്തരമായി സഞ്ചരിച്ചു കൊണ്ടിരിക്കുന്ന അതിതീവ്രന്യൂനമര്ദ്ദം ചുഴലിക്കാറ്റായി രൂപാന്തരം പ്രാപിച്ചെന്ന മുന്നറിയിപ്പുമായി യുഎസ് കാലാവസ്ഥാ നിരീക്ഷണ ഏജന്സിയായ ജെടിഡബ്ല്യുസി (JointTyphoon Warning Cetnre). മണിക്കൂറില് 204 കിലോമീറ്റര് വേഗത്തില് വരെ ചുഴലിക്കാറ്റാന് വീശാന് സാധ്യതയുണ്ടെന്നും ഏജന്സിയുടെ പുതിയ റിപ്പോര്ട്ടില് മുന്നറിയിപ്പ് നല്കുന്നു.
അതേസമയം, ഇന്ത്യന് കാലാവസ്ഥാ നിരീക്ഷണകേന്ദ്രം ഇതുവരെ ചുഴലിക്കാറ്റ് രൂപപ്പെട്ടതായി ഔദ്യോഗികമായി പ്രഖ്യാപിച്ചിട്ടില്ല. ശനിയാഴ്ച പുലര്ച്ചെയോടെ അതിതീവ്രന്യൂനമര്ദ്ദം ടൗട്ടെ' ചുഴലിക്കാറ്റായി മാറും എന്നാണ് ഇന്ത്യന് കാലാവസ്ഥാ നിരീക്ഷണ ഏജന്സിയുടെ പ്രവചനം. അതേസമയം മെയ് 31ന് കാലവര്ഷം കേരളത്തില് എത്തുമെന്ന് കേന്ദ്ര കാലാവസ്ഥാ നിരീക്ഷണ കേന്ദ്രം പ്രവചിക്കുന്നു. മെയ് 31ന് നാല് ദിവസം മുന്പോട്ടോ പിന്നോട്ടോ ആയിട്ടാവും കേരളത്തില് കാലവര്ഷം ആരംഭിക്കുക.
RELATED STORIES
മഹാരാഷ്ട്രയില് ബഹുനില കെട്ടിടം തകര്ന്ന് എട്ടുമരണം; 25 പേരെ...
21 Sep 2020 2:40 AM GMTമലയാറ്റൂരില് പാറമടയില് പൊട്ടിത്തെറി; രണ്ട് അന്തര്സംസ്ഥാന...
21 Sep 2020 2:18 AM GMTകോഴിക്കോട് നാദാപുരത്ത് പുഴയില് കുളിക്കാനിറങ്ങിയ യുവാവ്...
21 Sep 2020 2:00 AM GMTസംസ്ഥാനത്തെ റേഷന്കടകള്ക്ക് ഇന്ന് അവധി
21 Sep 2020 1:36 AM GMTസംസ്ഥാനത്ത് ഇന്നും അതിതീവ്ര മഴ; പത്ത് ജില്ലകളില് ഓറഞ്ച് അലര്ട്ട്,...
21 Sep 2020 1:24 AM GMTരണ്ട് പുതിയ കണ്ടെയ്ന്മെന്റ് സോണുകള്; കോട്ടയം ജില്ലയില് ആകെ 32...
21 Sep 2020 12:50 AM GMT


















