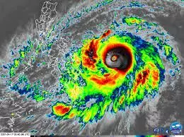
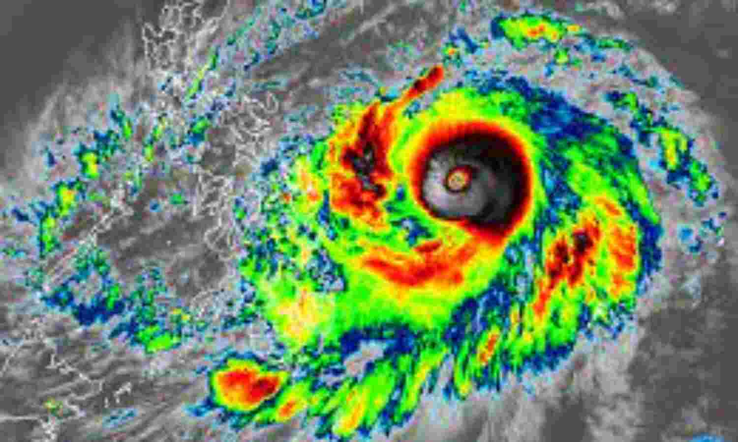
അറബിക്കടലില്‍ ചുഴലിക്കാറ്റ് രൂപപ്പെട്ടു; 204 കി.മീ വരെ വേഗത്തില്‍ ആഞ്ഞടിക്കുമെന്നും യുഎസ് ഏജന്‍സി

മണിക്കൂറില്‍ 204 കിലോമീറ്റര്‍ വേഗത്തില്‍ വരെ ചുഴലിക്കാറ്റാന്‍ വീശാന്‍ സാധ്യതയുണ്ടെന്നും ഏജന്‍സിയുടെ പുതിയ റിപ്പോര്‍ട്ടില്‍ മുന്നറിയിപ്പ് നല്‍കുന്നു.

Update: 2021-05-14 18:21 GMT

തിരുവനന്തപുരം: അറബിക്കടലില്‍ കേരളതീരത്തിന് സമാന്തരമായി സഞ്ചരിച്ചു കൊണ്ടിരിക്കുന്ന അതിതീവ്രന്യൂനമര്‍ദ്ദം ചുഴലിക്കാറ്റായി രൂപാന്തരം പ്രാപിച്ചെന്ന മുന്നറിയിപ്പുമായി യുഎസ് കാലാവസ്ഥാ നിരീക്ഷണ ഏജന്‍സിയായ ജെടിഡബ്ല്യുസി (JointTyphoon Warning Cetnre). മണിക്കൂറില്‍ 204 കിലോമീറ്റര്‍ വേഗത്തില്‍ വരെ ചുഴലിക്കാറ്റാന്‍ വീശാന്‍ സാധ്യതയുണ്ടെന്നും ഏജന്‍സിയുടെ പുതിയ റിപ്പോര്‍ട്ടില്‍ മുന്നറിയിപ്പ് നല്‍കുന്നു.

അതേസമയം, ഇന്ത്യന്‍ കാലാവസ്ഥാ നിരീക്ഷണകേന്ദ്രം ഇതുവരെ ചുഴലിക്കാറ്റ് രൂപപ്പെട്ടതായി ഔദ്യോഗികമായി പ്രഖ്യാപിച്ചിട്ടില്ല. ശനിയാഴ്ച പുലര്‍ച്ചെയോടെ അതിതീവ്രന്യൂനമര്‍ദ്ദം ടൗട്ടെ' ചുഴലിക്കാറ്റായി മാറും എന്നാണ് ഇന്ത്യന്‍ കാലാവസ്ഥാ നിരീക്ഷണ ഏജന്‍സിയുടെ പ്രവചനം. അതേസമയം മെയ് 31ന് കാലവര്‍ഷം കേരളത്തില്‍ എത്തുമെന്ന് കേന്ദ്ര കാലാവസ്ഥാ നിരീക്ഷണ കേന്ദ്രം പ്രവചിക്കുന്നു. മെയ് 31ന് നാല് ദിവസം മുന്‍പോട്ടോ പിന്നോട്ടോ ആയിട്ടാവും കേരളത്തില്‍ കാലവര്‍ഷം ആരംഭിക്കുക.

Tags: